Prodej stavební parcely 1 147 m², Zlivice, Čížová

3 096 900 Kč
2 700 Kč za m²

Nemovitost nabízí

Markéta Modrová

JUSTO Česká republika
Korunní 2569/108h, Praha

Popis nemovitosti

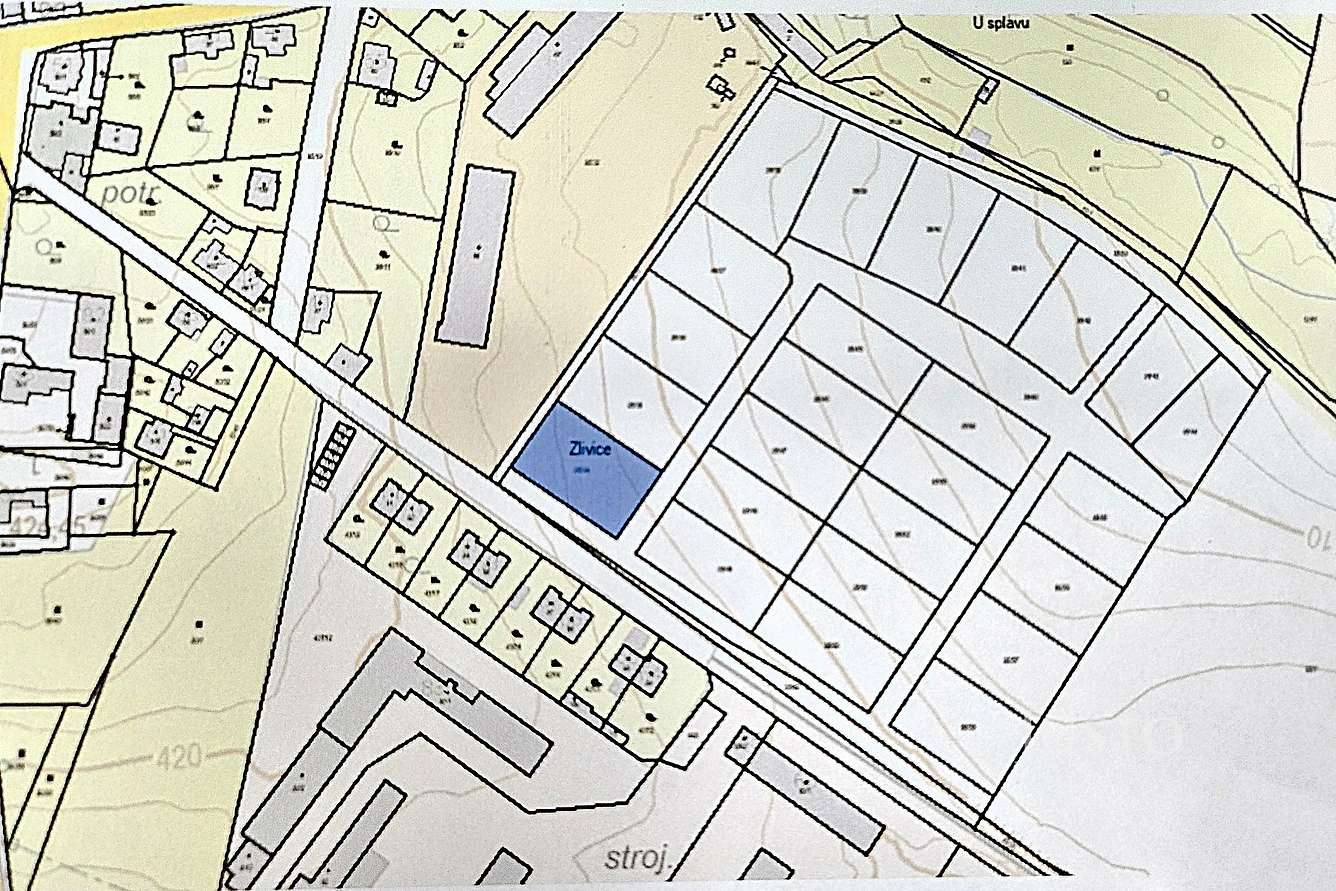
V zastoupení majitele nabízíme k prodeji pozemek o rozloze 1147 m², který se nachází v obci Zlivice u Čížové, okr. Písek. Pozemek je situován u komunikace, která vede ze Zlivic do Písku. Na hranici pozemku je kaplička s přípojkou elektřiny a obecní kanalizace. Zdroj vody obecní kanalizace. Komunikace a osvětlení k pozemkům je momentálně ve výstavbě. Jedná se o satelitní výstavbu 25 parcel. Zlivice jsou místní částí obce Čížová. Tvoří s ní z hlediska zástavby jednu oblast, Zlivice pokračují východním směrem tam, kde právě Čížová končí a přirozenou hranici tak tvoří pouze železniční trať z Písku do Zdic. Většinu zástavby Zlivic představují rodinné domy, nacházejí se zde ale i starší stavení. V dosahu obce je obec Čížová vzdálenost 5 min s veškerou občanskou vybaveností.

Základní údaje

Cena nezahrnuje
Provize
Elektřina
230 V
Kanalizace
Veřejná kanalizace
Zdroje vody
Veřejný vodovod
ID nemovitosti
J10442
Datum vložení
před 7 dny
Vlastnictví
soukromé
Plocha pozemku
1 147 m²
Plocha užitná
1 147 m²

Poloha na mapě

Nemovitost nabízí

Markéta Modrová

JUSTO Česká republika
Korunní 2569/108h, Praha