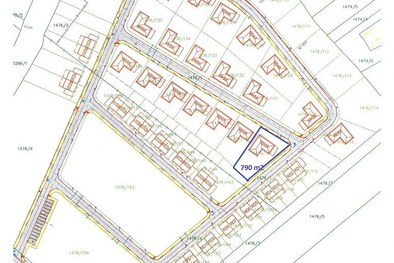
Prodej stavební parcely 790 m², Obvodová, Kroměříž
Cena na dotaz
Popis nemovitosti
Nabízíme stavební pozemek o výměře 790 m2 v klidné lokalitě města Kroměříž na dosah přírody, ale i blízko kompletní občanské vybavenosti. Pozemek se prodává včetně projektové dokumentace se stavebním povolením na bungalov o dispozici 4+kk s podlahovou plochou 120 m2, parkovacím stáním a zahrádkou. Po dohodě je i možnost dodání stavby na klíč. Pozemek bude kompletně připravený pro výstavbu včetně napojení na inženýrské sítě a komunikace. Skvělá poloha zajistí bezpečné a příjemné prostředí pro rodinný život. Nabídka je vhodná i jako investiční příležitost. Nyní probíhá výstavba inženýrských sítí a veškeré infrastruktury. Pro více informací nás kontaktujte..
Základní údaje
ID nemovitosti
97385
Datum vložení
včera
Vlastnictví
soukromé
Plocha pozemku
790 m²
